EMLAK VE İSTİMLAK MÜDÜRLÜĞÜ ASKI İLAN TUTANAĞI

05 Kasım 2025

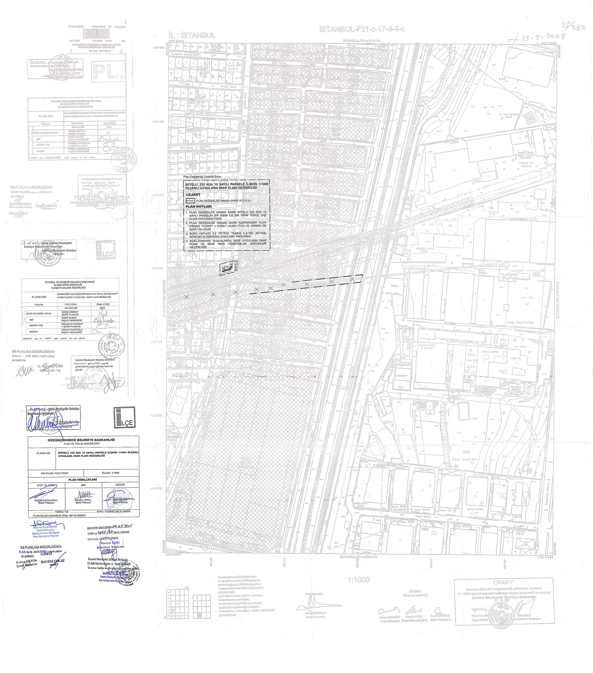
İlan için TIKLAYINIZ

VERGİ BORCU ÖDEME
İnternet sitemizden en verimli şekilde faydalanabilmeniz ve kullanıcı deneyiminizi geliştirebilmek için çerezler (cookie) kullanmaktayız. Çerez kullanılmasını tercih etmezseniz tarayıcınızın ayarlarından çerezleri silebilir ya da engelleyebilirsiniz. Konuya ilişkin detaylı bilgiye buradan ulaşabilirsiniz.